$1,395,000
3362 Syracuse AV
Acton, CA, 93510
Property Description
Description
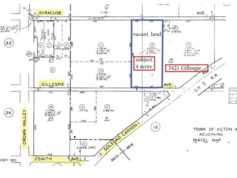
4.27 Acres Industrial Acres Available
Tough zoning to find in Acton, not too much M1.
Lot has easy Ingress / Egress to lot off two paved streets, Gillespie on one side Syracuse on the other.
Lot Very Visible from Soledad Canyon Road
Topo Is Level to Very Gentle Slope -all useable
Zoned M1 Light Industrial (IL)
Electric on Property Along with Producing Water Well
Very pleasing to the eye piece of Property
4.27 Acres Industrial Acres Available
Tough zoning to find in Acton, not too much M1.
Lot has easy Ingress / Egress to lot off two paved streets, Gillespie on one side Syracuse on the other.
Lot Very Visible from Soledad Canyon Road
Topo Is Level to Very Gentle Slope -all useable
Zoned M1 Light Industrial (IL)
Electric on Property Along with Producing Water Well
Very pleasing to the eye piece of Property
Property Details
Price:
$1,395,000
MLS #:
SR25087438
Status:
Active
Beds:
0
Baths:
0
Type:
Land
Subdivision:
Custom Acton CACTO
Neighborhood:
actoacton
Listed Date:
Apr 21, 2025
Lot Size:
186,001 sqft / 4.27 acres (approx)
Schools
Interior
Exterior
Community Features
RUR
Fencing
CH
View
PA
Financial
Need more info?
If you have any questions about this property, we at the Mohr Group would be happy to answer them. Click the button below and send us a message.
Ask a QuestionReady to go see it?
Schedule a ShowingMortgage Calculator
Similar Listings Nearby
Courtesy of Realty Executives SCV. Disclaimer: All data relating to real estate for sale on this page comes from the Broker Reciprocity (BR) of the California Regional Multiple Listing Service. Detailed information about real estate listings held by brokerage firms other than Mohr Real Estate Group include the name of the listing broker. Neither the listing company nor Mohr Real Estate Group shall be responsible for any typographical errors, misinformation, misprints and shall be held totally harmless. The Broker providing this data believes it to be correct, but advises interested parties to confirm any item before relying on it in a purchase decision. Copyright 2026. California Regional Multiple Listing Service. All rights reserved. 3362 Syracuse AV
Acton, CA

