$17,000
16 E Avenue F-12 ST
Lancaster, CA, 93535
Property Description
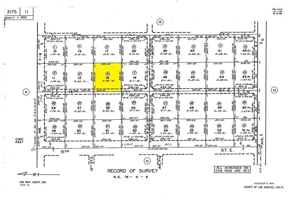
Prime 2.54-acre industrial parcel located on 16th St E in Lancaster (APN: 3175-011-006), perfectly positioned less than 3 miles from State Route 14 and Sierra Highway. Zoned LCM1 (Los Angeles County Limited Industrial), this versatile property allows for a wide range of industrial and agricultural uses, making it ideal for business ventures, storage facilities, contractor yards, or agricultural operations. The lot has no utilities on site and features expansive frontage, providing excellent visibility and accessibility. Situated in a growing area with convenient access to major transportation routes and Lancaster’s local amenities, this parcel offers outstanding flexibility and long-term potential. A rare opportunity to acquire well-located industrial land in the heart of Lancaster, contact us today for more information.****No soils reports, surveys, etc., have been done. Buyer and buyer’s agent to verify all information with the city or county for allowable uses and requirements and rely on their own investigations. **Buyer responsible for checking zoning, utilities, permits and exact property boundaries. ****
Property Details
Price:
$17,000
MLS #:
SW26022755
Status:
Active
Beds:
0
Baths:
0
Type:
Land
Neighborhood:
699notdefined
Listed Date:
Jan 31, 2026
Lot Size:
110,729 sqft / 2.54 acres (approx)
Schools
Interior
Exterior
Community Features
RUR
Fencing
NO
View
DE
Financial
Need more info?
If you have any questions about this property, we at the Mohr Group would be happy to answer them. Click the button below and send us a message.
Ask a QuestionReady to go see it?
Schedule a ShowingMortgage Calculator
Similar Listings Nearby
Courtesy of Steve Welty & Associates Inc. Disclaimer: All data relating to real estate for sale on this page comes from the Broker Reciprocity (BR) of the California Regional Multiple Listing Service. Detailed information about real estate listings held by brokerage firms other than Mohr Real Estate Group include the name of the listing broker. Neither the listing company nor Mohr Real Estate Group shall be responsible for any typographical errors, misinformation, misprints and shall be held totally harmless. The Broker providing this data believes it to be correct, but advises interested parties to confirm any item before relying on it in a purchase decision. Copyright 2026. California Regional Multiple Listing Service. All rights reserved. 16 E Avenue F-12 ST
Lancaster, CA

