$175,000
Avenue D-8
Lancaster, CA, 93536
Property Description
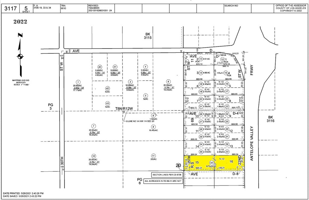
Freeway Frontage! 10.1 Acres M1 Industrial Land in Lancaster
Major investment opportunity in the Antelope Valley. This 10.1-acre M1-zoned industrial parcel offers approximately 332 feet of direct frontage on Hwy 14, giving it excellent visibility and strategic positioning in a growing corridor of Lancaster, L.A. County.
Located near Hwy 138 and within the Fox Airfield Corridor, this property is ideally suited for investors, developers, and land bankers looking for future upside. Easy regional access to Los Angeles, rail connections, and the Port of Long Beach strengthens the property’s appeal for industrial, logistics, manufacturing, commercial, or other future development uses.
Large industrial parcels with direct freeway exposure are increasingly hard to find. This is a strong hold for future appreciation or a valuable addition to an investment portfolio.
Property Highlights:
Zoning: M1 – Light Industrial ;
Size: 10.1 Acres ;
Frontage: Approx. 332 feet on Hwy 14 ;
Location: Near Hwy 138 / Fox Airfield Corridor;
APN: 3117-005-044 ;
GPS: 34.769743, -118.171215 (SE Corner) ;
Title Insurance Included ;
contact me for more information.
Major investment opportunity in the Antelope Valley. This 10.1-acre M1-zoned industrial parcel offers approximately 332 feet of direct frontage on Hwy 14, giving it excellent visibility and strategic positioning in a growing corridor of Lancaster, L.A. County.
Located near Hwy 138 and within the Fox Airfield Corridor, this property is ideally suited for investors, developers, and land bankers looking for future upside. Easy regional access to Los Angeles, rail connections, and the Port of Long Beach strengthens the property’s appeal for industrial, logistics, manufacturing, commercial, or other future development uses.
Large industrial parcels with direct freeway exposure are increasingly hard to find. This is a strong hold for future appreciation or a valuable addition to an investment portfolio.
Property Highlights:
Zoning: M1 – Light Industrial ;
Size: 10.1 Acres ;
Frontage: Approx. 332 feet on Hwy 14 ;
Location: Near Hwy 138 / Fox Airfield Corridor;
APN: 3117-005-044 ;
GPS: 34.769743, -118.171215 (SE Corner) ;
Title Insurance Included ;
contact me for more information.
Property Details
Price:
$175,000
MLS #:
PW26059075
Status:
Active
Beds:
0
Baths:
0
Type:
Land
Neighborhood:
699notdefined
Listed Date:
Mar 18, 2026
Lot Size:
443,441 sqft / 10.18 acres (approx)
Schools
Interior
Exterior
Community Features
RUR
View
NE
Financial
Need more info?
If you have any questions about this property, we at the Mohr Group would be happy to answer them. Click the button below and send us a message.
Ask a QuestionReady to go see it?
Schedule a ShowingMortgage Calculator
Similar Listings Nearby
Courtesy of First Team Real Estate. Disclaimer: All data relating to real estate for sale on this page comes from the Broker Reciprocity (BR) of the California Regional Multiple Listing Service. Detailed information about real estate listings held by brokerage firms other than Mohr Real Estate Group include the name of the listing broker. Neither the listing company nor Mohr Real Estate Group shall be responsible for any typographical errors, misinformation, misprints and shall be held totally harmless. The Broker providing this data believes it to be correct, but advises interested parties to confirm any item before relying on it in a purchase decision. Copyright 2026. California Regional Multiple Listing Service. All rights reserved. Avenue D-8
Lancaster, CA







