$340,999
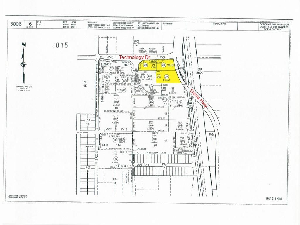
Ave P8/Sierra HY Lot 21
Palmdale, CA, 93550
Property Description
1.27+/-Acre SW Corner paved Ave. P-8 (Technology Drive) Transportation Centre Dr., Zoning is Plan Development Industrial property (PDM1) All utilities in the Street. It is just across the street from Palmdale’s new transportation center. Fwy. 14 just 1/2 mile to the west. Trade & Commerce Center just west of Fwy. 14. Winnell Industrial center 300′ north of the subject property. The Palmdale Air Terminal is just 3.5 miles to the east. Palmdale carries the nickname of “aerospace capital of the United States”, which has been the home for research, development, and testing of several important aircraft. Palmdale is home to Lockheed Martin, Boeing, NASA, Northrup Grumman, and Air Force Plant 42. Several other manufacturing users have relocated to Palmdale seeking cheaper land alternatives to Los Angeles as well as to take advantage of various tax incentives. This movement, along with the continued growth of the residential population solidifies Palmdale as an attractive long-term investment.
You may google the following GPS coordinates to locate the property: 34.594228 -118.122492
You may google the following GPS coordinates to locate the property: 34.594228 -118.122492
Property Details
Price:
$340,999
MLS #:
SR23158074
Status:
Active
Beds:
0
Baths:
0
Type:
Land
Neighborhood:
plmpalmdale
Listed Date:
Oct 14, 2025
Lot Size:
55,375 sqft / 1.27 acres (approx)
Schools
Interior
Exterior
Community Features
RUR, CRB
View
NE
Financial
Lease Land Amount
$3,800
Lease Land Frequency
MO
Need more info?
If you have any questions about this property, we at the Mohr Group would be happy to answer them. Click the button below and send us a message.
Ask a QuestionReady to go see it?
Schedule a ShowingMortgage Calculator
Similar Listings Nearby
Courtesy of Rich Estate Props. Disclaimer: All data relating to real estate for sale on this page comes from the Broker Reciprocity (BR) of the California Regional Multiple Listing Service. Detailed information about real estate listings held by brokerage firms other than Mohr Real Estate Group include the name of the listing broker. Neither the listing company nor Mohr Real Estate Group shall be responsible for any typographical errors, misinformation, misprints and shall be held totally harmless. The Broker providing this data believes it to be correct, but advises interested parties to confirm any item before relying on it in a purchase decision. Copyright 2026. California Regional Multiple Listing Service. All rights reserved. Ave P8/Sierra HY Lot 21
Palmdale, CA

