$700,000
Eucalyptus ST
Victorville, CA, 92392
Property Description
Prime Development Opportunity – Victorville, CA
Outstanding land offering in the City of Victorville with dual zoning, subdivision potential, and unbeatable location near schools, parks, and residential neighborhoods. This property is ideal for developers and investors looking for one of the last large-scale buildable sites in the High Desert.
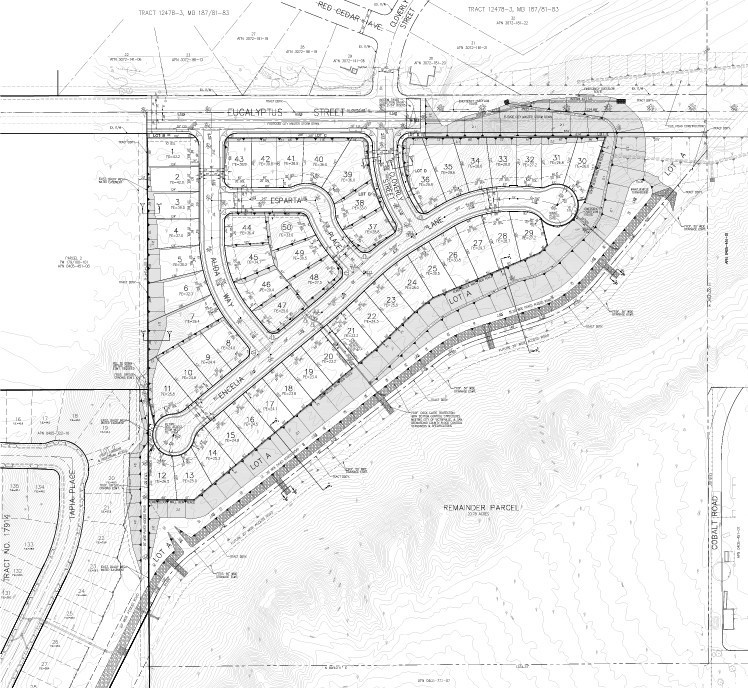
The north portion along Eucalyptus Street is zoned R-1 and includes a previously submitted tentative map for 50 single-family homes. Seller holds copies of the plans; buyers should confirm current status with the city. The southern portion is zoned MU-1, allowing condominiums, townhomes, or mixed-use projects (buyer to verify). Importantly, this MU-1 section sits just about 600 feet from the future site of St. Mary’s Hospital, making it an exceptional location for residential or community-centered development.
With its dual zoning, subdivision groundwork, and proximity to a major new hospital site, this property offers multiple paths to strong returns. An excellent opportunity for builders and developers to bring a signature project to life in one of Victorville’s most active growth corridors.
Highlights:
– 40-acre Lot
– Dual Zoning: R-1 (Single-Family Residential) & MU-1 (Mixed-Use)
– Tentative map for 50 homes (north portion – R-1)
– Mixed-use development potential (south portion – MU-1)
– Just 600 feet from the future St. Mary’s Hospital site
– Close to schools, parks, and established neighborhoods
Outstanding land offering in the City of Victorville with dual zoning, subdivision potential, and unbeatable location near schools, parks, and residential neighborhoods. This property is ideal for developers and investors looking for one of the last large-scale buildable sites in the High Desert.
The north portion along Eucalyptus Street is zoned R-1 and includes a previously submitted tentative map for 50 single-family homes. Seller holds copies of the plans; buyers should confirm current status with the city. The southern portion is zoned MU-1, allowing condominiums, townhomes, or mixed-use projects (buyer to verify). Importantly, this MU-1 section sits just about 600 feet from the future site of St. Mary’s Hospital, making it an exceptional location for residential or community-centered development.
With its dual zoning, subdivision groundwork, and proximity to a major new hospital site, this property offers multiple paths to strong returns. An excellent opportunity for builders and developers to bring a signature project to life in one of Victorville’s most active growth corridors.
Highlights:
– 40-acre Lot
– Dual Zoning: R-1 (Single-Family Residential) & MU-1 (Mixed-Use)
– Tentative map for 50 homes (north portion – R-1)
– Mixed-use development potential (south portion – MU-1)
– Just 600 feet from the future St. Mary’s Hospital site
– Close to schools, parks, and established neighborhoods
Property Details
Price:
$700,000
MLS #:
HD25209688
Status:
Active
Beds:
0
Baths:
0
Type:
Land
Neighborhood:
vicvictorville
Listed Date:
Sep 11, 2025
Lot Size:
1,742,400 sqft / 40.00 acres (approx)
Schools
Interior
Exterior
Community Features
RUR, RAV
Fencing
NO
View
DE
Financial
Need more info?
If you have any questions about this property, we at the Mohr Group would be happy to answer them. Click the button below and send us a message.
Ask a QuestionReady to go see it?
Schedule a ShowingMortgage Calculator
Similar Listings Nearby
Courtesy of MGR Real Estate, Inc. Disclaimer: All data relating to real estate for sale on this page comes from the Broker Reciprocity (BR) of the California Regional Multiple Listing Service. Detailed information about real estate listings held by brokerage firms other than Mohr Real Estate Group include the name of the listing broker. Neither the listing company nor Mohr Real Estate Group shall be responsible for any typographical errors, misinformation, misprints and shall be held totally harmless. The Broker providing this data believes it to be correct, but advises interested parties to confirm any item before relying on it in a purchase decision. Copyright 2026. California Regional Multiple Listing Service. All rights reserved. Eucalyptus ST
Victorville, CA













